(719) 452-1865
Sign Up Login
Refine Search

800 S Reigel Court, Moffat, CO 81143

$210,000
  • 800 S Reigel Court, Moffat, CO 81143 Main Photo

4 Total Photos [Click to View All]

Active
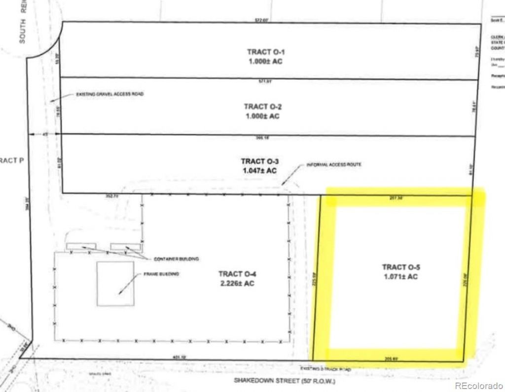
LOT SIZE 1.070 acres MLS#7122159
STATUSActive PROPERTY TYPELand - Commercial SUBDIVISIONMOFFAT 420 ANNEX Tract: O SCHOOLMoffat County RE-1

Listing Courtesy of: Century 21 Community First
Agency Contact: kerigagerealtor@gmail.com,970-531-4661
IDX logo


Property Description

Own a piece of Colorados Area 420, specifically designated for legal commercial cannabis cultivation. This prime land is situated within a commercial cannabis park, perfect for both indoor and outdoor growing, benefiting from abundant sunshine. With no building codes to restrict your plans, access to electricity, and a reliable clean water supply, youll be part of a thriving community of growers. If youre looking for more than one acre, there are three additional tracts available that link to this one. The plat map is currently preliminary and can be tailored to align with the vision of the first investor before finalizing and recording the lots. This offers a unique opportunity to customize your investment to suit your specific needs and goals.

800 S Reigel Court | MLS# 7122159

This land located at 800 S Reigel Court, Moffat, CO 81143 is currently listed for sale with an asking price of $210,000. The property has approximately 1.07 Acres. S Reigel Court is located within the Moffat County RE-1 school district. Search Moffat real estate on leann.thecuttingedgerealtors.com today.

Property Features

Property Type: Land - Commercial
Lot Size: 1.07 Acres
Taxes: $6,524

Feature Descriptions

Days on Site: 8
Exclusions: Sellers Personal Property
Fencing: None
Lot: Level
Parcel#: tract 0-5
Sewer: Septic Tank
Utilities: Electricity Available
Water: Shared Well

Local Schools

School District: Moffat County RE-1

Listed By / Shown By

Listed By

Agency Name: Century 21 Community First
Agency Contact: kerigagerealtor@gmail.com,970-531-4661

Shown By

Agent Name: Leann Yousif
Agent Phone: (719) 452-1865
Agency Title: The Cutting Edge, Realtors

IDX logo

Estimate Your Payment

Estimated Payment

$ 1,639.32 per month $1,034.40 Principal & Interest $543.67 Property Tax $61.25 Homeowner's Insurance

Change Payment Information

%
years/fixed
yearly
yearly (est.)
(Payments are an estimate and may vary by lender)

Contact Laura Hemsworth & Lisa Ramsey Today! Phone: (719) 505-5561 Email: Laura@LoansWithMilestone.com

Disclaimer: All information deemed reliable but not guaranteed. All properties are subject to prior sale, change or withdrawal. Neither listing broker(s) or information provider(s) shall be responsible for any typographical errors, misinformation, misprints and shall be held totally harmless. Listing(s) information is provided for consumers personal, non-commercial use and may not be used for any purpose other than to identify prospective properties consumers may be interested in purchasing. Information on this site was last updated 04/18/2026. The listing information on this page last changed on 04/18/2026. The data relating to real estate for sale on this website comes in part from the Internet Data Exchange program of Delta Media Group MLS (last updated Sat 04/18/2026 12:04:53 AM EST) or Metrolist - RECOLORADO by MLSGRID (last updated Fri 04/17/2026 11:34:32 PM EST) or elevate MLS (last updated Sat 04/18/2026 12:00:18 AM EST) or Pueblo MLS (last updated Fri 04/17/2026 11:43:56 PM EST). Real estate listings held by brokerage firms other than The Cutting Edge, Realtors may be marked with the Internet Data Exchange logo and detailed information about those properties will include the name of the listing broker(s) when required by the MLS. All rights reserved.
Based on information submitted to the MLS GRID. All data is obtained from various sources and may not have been verified by broker or MLS GRID. Supplied Open House information is subject to change without notice. All information should be independently reviewed and verified for accuracy. Properties may or may not be listed by the office/agent presenting the information

METROLIST, INC., DBA RECOLORADO Disclaimer & Copyrights
The content relating to real estate for sale in this website comes in part from the Internet Data eXchange ("IDX") program of REcolorado®. All information subject to change and should be independently verified. This information is being provided for the consumers' personal, non-commercial use and may not be used for any other purpose.
This publication is designed to provide information with regard to the subject matter covered. It is displayed with the understanding that the publisher and authors are not engaged in rendering real estate, legal, accounting, tax, or other professional services and that the publisher and authors are not offering such advice in this publication. If real estate, legal, or other expert assistance is required, the services of a competent, professional person should be sought. The information contained in this publication is subject to change without notice. METROLIST, INC., DBA REcolorado, MAKES NO WARRANTY OF ANY KIND WITH REGARD TO THIS MATERIAL, INCLUDING, BUT NOT LIMITED TO, THE IMPLIED WARRANTIES OF MERCHANTABILITY AND FITNESS FOR A PARTICULAR PURPOSE. METROLIST, INC., DBA REcolorado, SHALL NOT BE LIABLE FOR ERRORS CONTAINED HEREIN OR FOR ANY DAMAGES IN CONNECTION WITH THE FURNISHING, PERFORMANCE, OR USE OF THIS MATERIAL.

PUBLISHER'S NOTICE: All real estate advertised herein is subject to the Federal Fair Housing Act and the Colorado Fair Housing Act, which Acts make it illegal to make or publish any advertisement that indicates any preference, limitation, or discrimination based on race, color, religion, sex, handicap, familial status, or national origin.

METROLIST, INC., DBA RECOLORADO will not knowingly accept any advertising for real estate that is in violation of the law. All persons are hereby informed that all dwellings advertised are available on an equal opportunity basis.




COPYRIGHT © 2020 by METROLIST, INC., DBA RECOLORADO® – All Rights Reserved 6455 S. Yosemite St., Suite 500 Greenwood Village, CO 80111 USA


ALL RIGHTS RESERVED WORLDWIDE. No part of this publication may be reproduced, adapted, translated, stored in a retrieval system or transmitted in any form or by any means, electronic, mechanical, photocopying, recording, or otherwise, without the prior written permission of the publisher. The information contained herein including but not limited to all text, photographs, digital images, virtual tours, may be seeded and monitored for protection and tracking.

The data relating to real estate for sale on this web site comes in part from the REcolorado®. All information deemed reliable but not guaranteed and should be independently verified. All properties are subject to prior sale, change or withdrawal. Neither listing broker(s) nor shall be responsible for any typographical errors, misinformation, misprints and shall be held totally harmless.

Privacy Policy / DMCA Notice / ADA Accessibility

Login to My Homefinder

Pixel